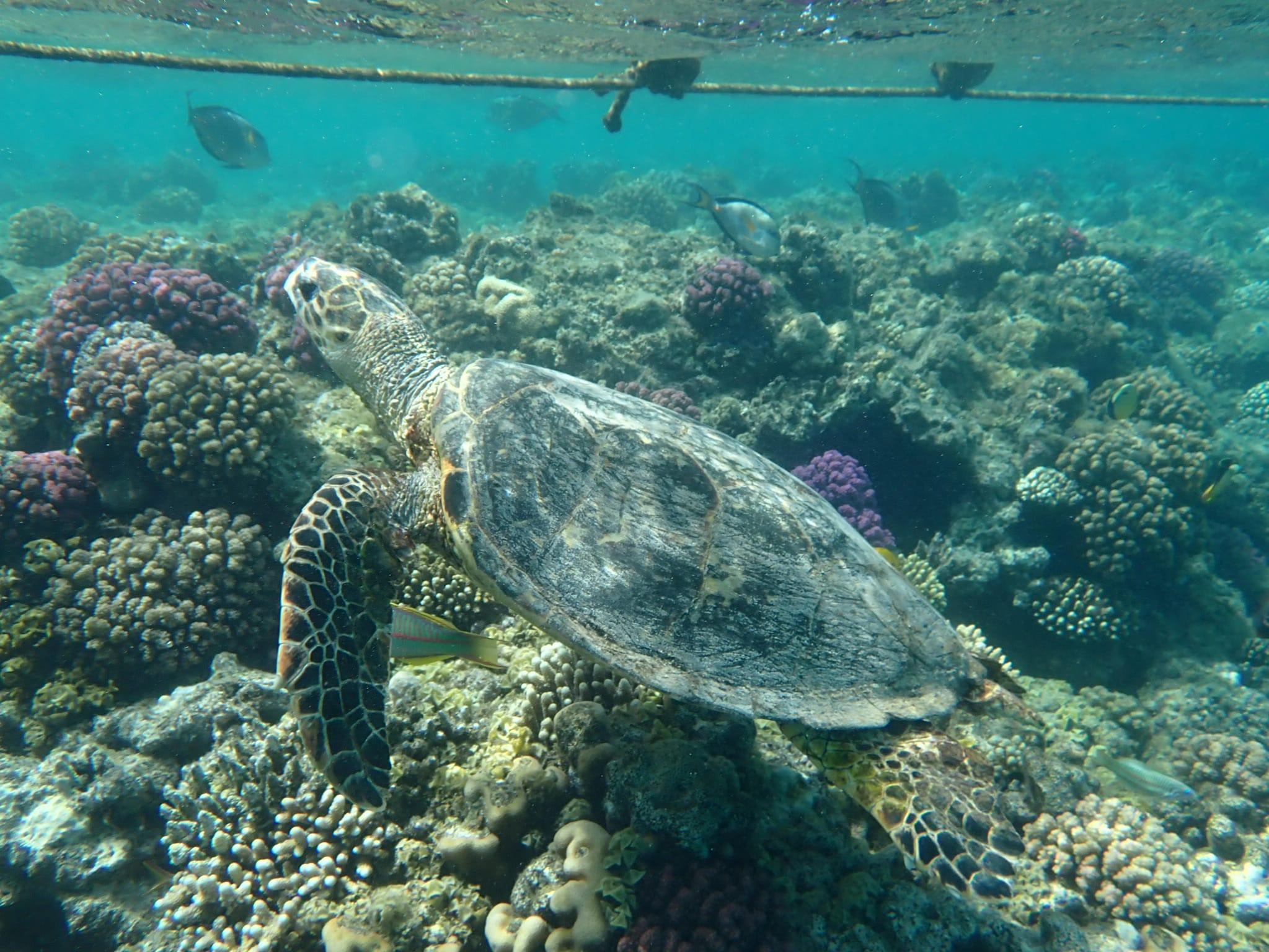
DATE OF THE LAST SIGHTING: 23/02/2024
SPECIES: Green turtle, Chelonia mydas
AGE: Sub adult
PHOTOGRAPHER: Mariska Van Der Paauw

DATE OF THE LAST SIGHTING: 26/10/2025
SPECIES: Green turtle, Chelonia mydas
AGE: Adult female
PHOTOGRAPHER: Verena Tumat

DATE OF THE LAST SIGHTING: 10/10/2025
SPECIES: Green turtle, Chelonia mydas
AGE: Adult Male
PHOTOGRAPHER: Helene Louise Knudsen



























































































